Gebäude und Planung

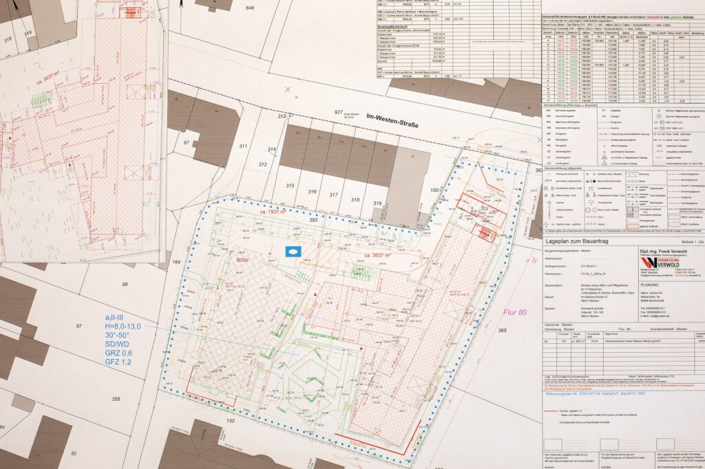
Amtlicher Lageplan zum Bauantrag

Für einen Bauantrag benötigen Sie einen Lageplan mit planungsrelevanten und baurechtlichen Angaben zum geplanten Gebäude. Wir als öffentlich bestellter Vermessungsingenieur können diesen mit öffentlichem Glauben beurkunden. Dies wird für einige Bauvorhaben benötigt.

Amtlicher Lageplan zur Baulasteintragung

Zur Realisierung von einigen Bauvorhaben ist es nötig Sich eine Baulast zu sichern. Dazu wird ein amtlicher Lageplan benötigt, diesen können wir als Öffentlich bestellter Vermessungsingenieur für Sie anfertigen. 

Amtlicher Nachweis über Grundriss und Höhe

Die Bauaufsichtsbehörden verlangen zur Bauüberwachung nach §83 Abs.3 BauO NRW eine amtliche Bescheinigung über die Einhaltung der Grundrissfläche und der Höhenlage. Wir als Öffentlich bestellter Vermessungsingenieur erstellen Ihnen diesen Nachweis. 

Absteckungen

Egal ob für Hochbau oder Tiefbau wir durch eine Absteckung sorgen wir dafür, dass Ihr geplantes Gebäude alle nötigen Grenzabstände einhält. Dazu zeigen wir den ausführenden Firmen vor Ort die Lage und Höhe Ihres Geplanten Gebäudes an und erstellen darüber ein Protokoll  

Gebäudeeinmessung

Jedes neu errichtete Gebäude muss in NRW eingemessen werden, um es in der Liegenschaftskarte darzustellen. Diese Einmessung können wir als Öffentlich bestellter Vermessungsingenieur für Sie durchführen. 

Bestandsaufmaß / Fassadenaufmaß

Sie benötigen zur Planung von Sanierung und Umbaumaßnahmen eine präzise Datengrundlage?
Egal ob Grundrisse Schnitte oder 3D-Modell wir liefen Ihnen die von Ihnen gewünschten Daten.